







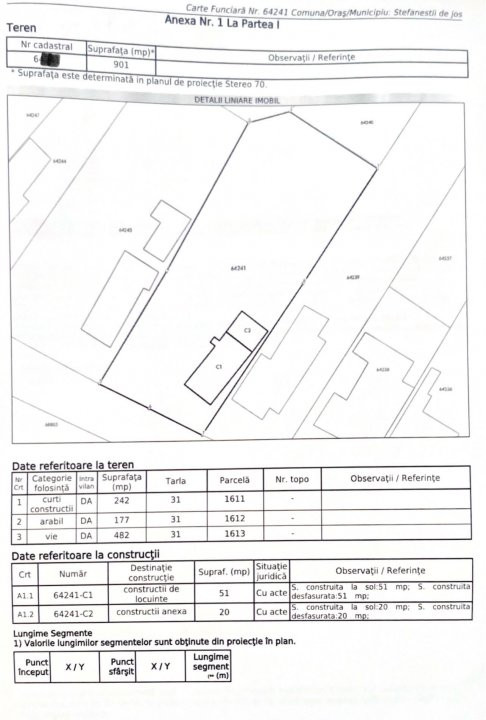
Aceasta proprietate reprezinta o oportunitate excelenta pentru cei care isi doresc sa construiasca o casa intr-o zona linistita si bine pozitionata, in Stefanestii de Jos, pe Strada Violetelor nr. 5. Terenul are o suprafata de 901 mp si un front stradal de 17 metri, oferind spatiu amplu pentru realizarea unei locuinte confortabile, cu gradina si anexe, conform propriului proiect.
Terenul este imprejmuit, are toate utilitatile disponibile in zona – canalizare, gaz, curent electric – si beneficiaza de acces facil la mijloacele de transport in comun, ceea ce il face ideal pentru o familie care isi doreste o locuinta intr-o zona accesibila, dar linistita.
Pe teren se afla o casa batraneasca demolabila, cu o amprenta la sol de 51 mp, oferind posibilitatea de a demara rapid o noua constructie. Proprietatea dispune si de pomi fructiferi, creand un cadru natural placut si primitor.
Locatia imbina linistea unei zone rezidentiale cu apropierea de principalele artere si facilitati ale orasului, fiind perfecta pentru cei care isi doresc sa construiasca o casa intr-un mediu curat si echilibrat.
Daca va doriti un loc potrivit pentru viitorul camin al familiei dumneavoastra, acest teren poate fi exact ceea ce cautati. Contactati-ma pentru mai multe detalii sau pentru a programa o vizionare.