

















0% Comision pentru cumparator!
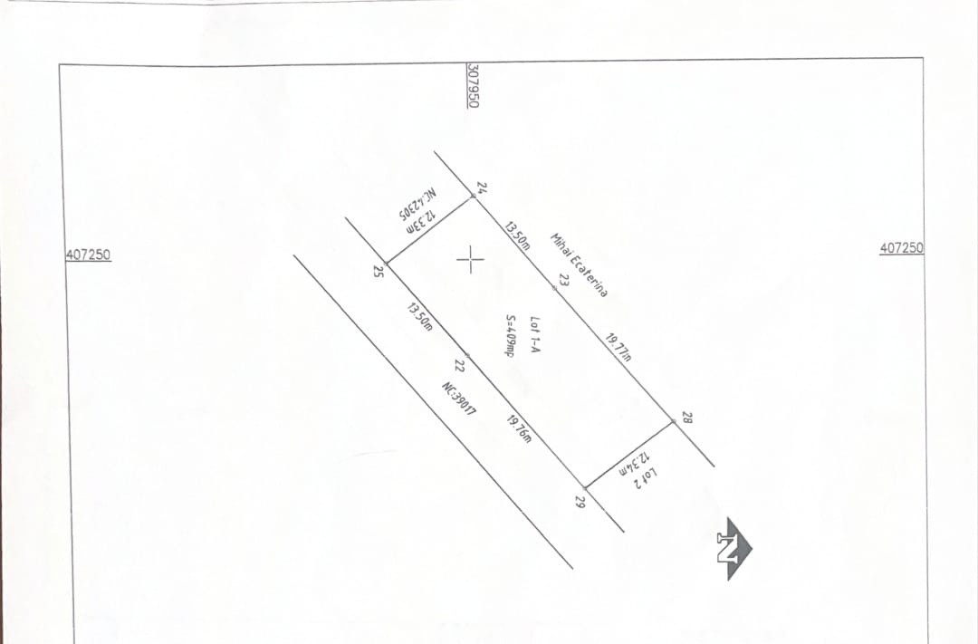
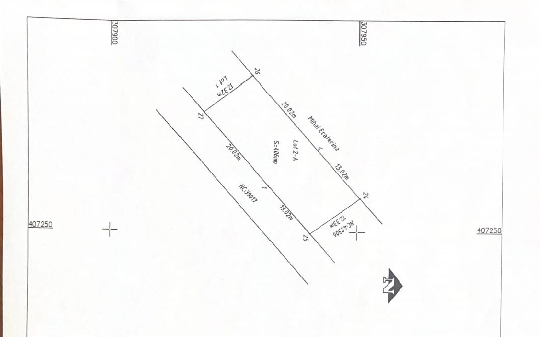
Va oferim un teren intravilan situat in comuna Malu Mare, sat Preajba, zona Aleea 3 Bechetului (Tarlaua 28, parcelele 18 si 19).
Proprietatea este compusa din doua parcele alaturate, cu o suprafata totala de 815 mp (409 mp + 406 mp), ideale pentru constructia unei locuinte sau investitie.
Parcela 1 beneficiaza de o deschidere de 33,26 ml si o latime de 12,34 ml, iar parcela 2 are o deschidere de 33,04 ml si o latime de 12,33 ml, oferind un front stradal generos.
Terenul este situat la aproximativ 75 m de strada si beneficiaza de drum de acces cu latime de 7 m, iar strada urmeaza sa fie asfaltata in curand, ceea ce creste atractivitatea si valoarea proprietatii.
Utilitatile sunt disponibile in zona: curent electric, apa, canalizare, precum si proiect de gaze aprobat.
Parcelele sunt neimprejmuite si sunt amplasate intr-o zona linistita, in plina dezvoltare, la doar cateva minute de mers cu masina de Smart Pub si Wolcar.
Ideal pentru constructie casa individuala sau duplex.
Pretul terenului (ambele parcele) este de 55000 Euro, negociabil.
Pentru mai multe informatii sau pentru a programa o vizionare, nu ezitati sa ma contactati!