
Spațiu comercial de vânzare – oportunitate investițională și dezvoltare imobiliară
Se oferă spre vânzare spațiu comercial complet echipat și funcțional, destinat activităților de mecanică, vopsitorie și electrică auto, cu posibilitate de preluare imediată a activității.
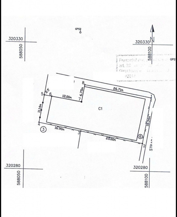
Detalii proprietate:
– Suprafață totală teren: 659 mp
– Suprafață construită la sol: 541 mp
– Construcție tip hală metalică (beton + BCA), în stare bună
– Construcția este demolabilă, oferind flexibilitate pentru noi dezvoltări
Potențial investițional:
– Spațiul poate genera venituri din închiriere de până la 7.000 €/lună
– Randament estimat: ~10%
– Potrivit atât pentru continuarea activității existente, cât și pentru conversie sau dezvoltare imobiliară
Parametri urbanistici:
Conform Certificatului de Urbanism emis în noiembrie 2025, terenul se încadrează în:
– Subzona M3 – zonă mixtă
– Regim de construire: continuu sau discontinuu
– Regim de înălțime maxim: P+4 etaje
Ideal pentru dezvoltatori interesați de un proiect rezidențial tip boutique sau pentru investitori care doresc o proprietate cu venit imediat.
O proprietate versatilă, cu multiple scenarii de valorificare – business operațional sau dezvoltare imobiliară.
Pentru detalii suplimentare și programarea unei vizionări, vă stăm la dispoziție.